Local Service Guide

Get Ants Extermination Service in Fort Worth, TX

Local contractors in Fort Worth, TX, can help property owners eliminate ants, prevent infestations, and handle pest control projects for residential and commercial spaces.

Fort Worth, TX

Ants can be a persistent challenge for property owners in Fort Worth, TX, especially during warmer months when these insects are most active. If you're noticing signs of an ant problem, exploring professional extermination services can be a practical step toward protecting your home or business. Local contractors specializing in ant control offer targeted solutions designed to address specific infestations, helping to maintain a clean and comfortable environment.

Considering your options among nearby service providers can help ensure you find a solution that fits your property's needs. Comparing the approaches and expertise of local experts allows property owners in Fort Worth to plan effective ant management strategies. Keep reading to learn how local professionals can assist with ant extermination and how to find the right fit for your property.

Get Ants Extermination Service Quotes

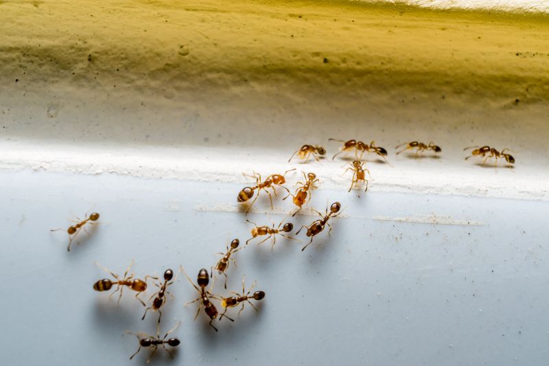
  • Ants Extermination - needed when ants invade kitchens, bathrooms, or other indoor spaces in neighborhoods across Fort Worth, TX.
  • Ants Extermination - required to eliminate persistent ant colonies in residential yards and garden areas in nearby communities.
  • Ants Extermination - sought after when outdoor ant mounds become a nuisance around homes and commercial properties.
  • Ants Extermination - necessary when ants threaten to damage plants, stored food, or structures in local neighborhoods.
  • Ants Extermination - recommended for ongoing prevention in areas prone to ant activity during warmer months in the Fort Worth region.
Ants Extermination Service
Ants Extermination Service
Ants Extermination Service

Ants extermination services involve identifying and eliminating ant infestations in residential and commercial properties. Skilled service providers use targeted treatments to remove existing colonies and prevent future invasions. This process often includes inspecting the property to locate ant nests, applying appropriate insecticides, and advising on measures to reduce attractants like food crumbs, water sources, and entry points. The goal is to effectively control ant populations while minimizing disruption to the property and its occupants.

Ant problems can cause a variety of issues for homeowners. Common signs include visible ant trails, scattered crumbs, or small mounds near foundations. An infestation not only disrupts daily routines but can also lead to increased pest activity indoors, especially during warmer months. Certain types of ants, such as fire ants or carpenter ants, may pose additional concerns-fire ants can deliver painful stings, while carpenter ants can damage wooden structures. Professional extermination helps address these problems safely and efficiently, restoring comfort and peace of mind.

Properties that typically seek ant extermination services include single-family homes, apartment complexes, and small businesses. Homes with accessible entry points, like gaps around windows and doors, are more vulnerable to ant invasions. Commercial properties such as restaurants or retail stores may also require regular pest management to maintain hygiene standards and prevent infestations that could impact customer experience. Regardless of property size or type, professional pest control providers tailor their approach to the specific needs of each location, ensuring effective and lasting results.

Choosing to work with experienced service providers can help prevent the recurring nuisance of ants and protect property value. These professionals understand the common entry points and attractants in Fort Worth, TX, and nearby areas, allowing them to deliver targeted solutions. Whether dealing with a minor trail or a full-blown colony, property owners can contact local contractors who specialize in ant extermination to find the right treatment plan. Proper treatment not only removes existing pests but also minimizes the risk of future invasions, keeping homes and businesses pest-free.

The overview below groups typical Ants Extermination Service projects into broad ranges so you can see how smaller, mid-sized, and larger jobs often compare in Fort Worth, TX.

In many markets, a large share of routine jobs stays in the lower and middle ranges, while only a smaller percentage of projects moves into the highest bands when the work is more complex or site conditions are harder than average.

Small Ant Infestation Removal - Typical costs for treating minor ant problems in homes or yards range from $250 to $600. Most routine jobs fall within this range, covering basic treatments and localized nests.

Moderate Ant Control - Larger or more persistent ant infestations usually cost between $600 and $1,200. Many projects in this category involve multiple treatment visits and extended efforts by local contractors.

Severe or Multiple-Location Treatments - Extensive ant problems affecting several areas can reach $1,200 to $2,500 or more. Fewer jobs fall into this high-tier range and typically involve complex nesting sites or structural infestations.

Full Property Extermination or Replacement - Complete eradication efforts or significant property treatments can cost $2,500 to over $5,000. Such projects are less common and often involve comprehensive strategies by experienced service providers.

Actual totals will depend on details like access to the work area, the scope of the project, and the materials selected, so use these as general starting points rather than exact figures.

Get a Quote

Pest Inspection Services - Professionals skilled in identifying pest entry points and nesting areas can apply similar techniques to locate ant colonies within structures.

Rodent Control Projects - These projects require planning, trapping, and exclusion methods that are comparable to ant extermination strategies.

Insect Barrier Treatments - Applying chemical or physical barriers to prevent pest entry aligns with ant control methods used by local contractors.

Structural Damage Repair - Repairing damage caused by pests involves planning and execution skills that are useful in ant nest removal and habitat restoration.

Sanitation and Debris Removal - Clearing clutter and food sources to deter pests is a task similar to ant prevention and habitat management.

Wildlife Exclusion Services - Sealing entry points to prevent animal infestations shares techniques with ant exclusion and nest prevention efforts.

Ants Extermination Service

When evaluating contractors for ant extermination services, it’s important to consider their experience with similar projects. Homeowners should look for service providers who have a proven track record of handling ant control in environments comparable to their own, such as residential properties in Fort Worth, TX. Asking for details about past work can help determine if a contractor has the relevant expertise needed to effectively address the specific ant problem. A contractor's familiarity with local pest issues and effective treatment methods can contribute to a more successful outcome.

Clear, written expectations are essential when selecting a pest control provider. Homeowners should seek service providers who can articulate what the treatment process involves, what results to expect, and any follow-up procedures. Having this information documented helps ensure that both parties are aligned and reduces the chances of misunderstandings. Reputable local contractors will be transparent about their approach and willing to provide detailed explanations, making it easier for homeowners to assess whether the service aligns with their needs.

Good communication and reputable references are also key factors in choosing a pest control specialist. Service providers who are responsive and willing to answer questions demonstrate professionalism and respect for the homeowner’s concerns. Additionally, requesting references from previous clients can offer insight into the contractor’s reliability and the quality of their work. It’s important to find local professionals who are known for clear communication and positive feedback, as these qualities often correlate with a smoother, more satisfactory service experience.

Get an Ants Extermination Service Quote

Property owners in Fort Worth, TX use Ants Extermination Service services for practical projects around their homes and businesses. This guide focuses on everyday jobs and straightforward project options.

Ants Extermination Service
Ants Extermination Service

Ants can become a common nuisance for property owners in Fort Worth, TX, especially during warmer months when these insects seek food and shelter. Homeowners and business owners might notice trails of ants around kitchens, dining areas, or near entry points, prompting a need for professional extermination services. Local contractors experienced in ant control can assess the situation, identify the source of the infestation, and implement targeted treatments to help restore comfort and cleanliness to the property.

In addition to kitchens and living spaces, ants may invade outdoor areas such as gardens, patios, or around foundations, creating concerns about ongoing infestations. Property owners might seek the expertise of local service providers to address these issues effectively. These professionals can offer solutions that prevent future ant problems, helping to maintain the integrity and appearance of the property while reducing the likelihood of recurring visits from these persistent pests.

Get an Ants Extermination Service Quote

How do local contractors handle ant infestations? They typically identify the ant species, locate nests, and apply targeted treatments to eliminate colonies and prevent future infestations.

What methods are used by service providers to control ants? Common methods include baiting, perimeter treatments, and spot applications to effectively reduce ant populations around properties.

Are ant extermination services safe for homes and families? Yes, local service providers use proven techniques designed to safely address ant problems while minimizing risks to residents and pets.

Can ant exterminators identify the source of an infestation? Yes, experienced contractors can inspect and trace ant activity back to their entry points or nests to ensure comprehensive treatment.

What should I do to prepare for ant extermination services? Typically, it’s recommended to clear treated areas of clutter and food items to allow contractors to access affected spots effectively.

Ants Prevention Strategies - Property owners can implement routine inspections and sealing of entry points to reduce ant activity around their homes.

Indoor Ant Control - Local contractors can provide targeted treatments to eliminate ants inside kitchens, bathrooms, or other problem areas.

Outdoor Ant Management - Homeowners may seek services to treat lawns, gardens, or exterior foundations to prevent ant colonies from establishing nearby.

Long-term Ant Control Plans - Property owners can work with service providers to develop ongoing maintenance plans that keep ant populations under control.

Ants Extermination Service

If you are thinking about Ants Extermination Service for a property in Fort Worth, TX, this guide is meant to help you understand the work, the typical project types, and how different options might fit your plans.

When you are ready, you can use the quote form on this page to share a few details about your project. From there, local pros can review the basics and respond with options that match what you have in mind.

Get a Quote

Ants Extermination Quotes

Our Trusted Partners
Cantu Pest Control
Orkin
Hawx Pest Control