Local Service Overview

Get Ants Extermination Service in Aledo, TX

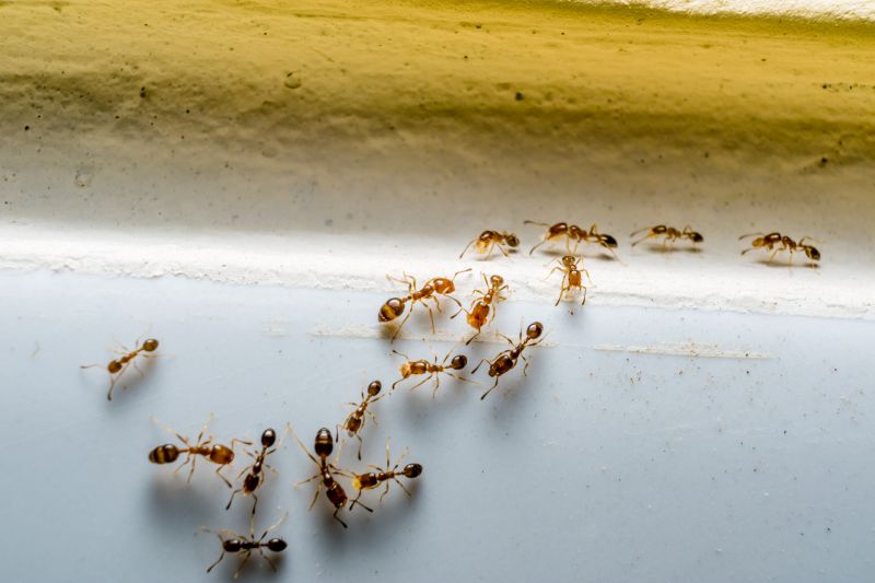
Ants extermination services for property owners in Aledo, TX, and nearby areas address ant infestations, prevent future invasions, and handle residential and commercial ant control projects.

Aledo, TX

Ants extermination services are essential for property owners in Aledo, TX who want to maintain a comfortable and functional living or working environment. Effective pest control helps prevent the intrusion of ants that can cause damage to structures, contaminate food, or create unsanitary conditions. By addressing ant problems promptly, property owners can enjoy peace of mind, knowing their spaces are safer and more comfortable for residents, employees, or visitors.

Choosing professional ant extermination also offers benefits related to durability and curb appeal. Proper treatment reduces the likelihood of recurring infestations, minimizing ongoing maintenance needs and protecting the property's exterior. Additionally, a pest-free landscape enhances the overall appearance of the property, contributing to a more inviting and well-maintained aesthetic. Local service providers can tailor solutions to specific needs, ensuring long-lasting results that support the property's safety and visual appeal.

Get Ants Extermination Service Quotes

  • Ants Extermination - needed when ants invade kitchens, pantries, or other indoor spaces in residential or commercial properties.
  • Ants Extermination - required if ant colonies are discovered outdoors around gardens, patios, or landscaping areas in Aledo, TX and nearby regions.
  • Ants Extermination - necessary when ants become a persistent nuisance despite initial cleanup efforts in homes or businesses.
  • Ants Extermination - sought after in areas with heavy ant activity during warmer months or after recent weather changes.
  • Ants Extermination - appropriate when ants are seen entering structures through cracks, gaps, or other entry points.

Get Ants Extermination Service Quotes

Ants Extermination Service
Ants Extermination Service
Ants Extermination Service

Ants extermination services involve professional treatments designed to eliminate ant infestations from residential and commercial properties. These services typically include thorough inspections to identify the ant species and the extent of the infestation, followed by targeted application of pest control solutions. Service providers may use a combination of baiting systems, liquid treatments, and barrier methods to effectively eradicate ants and prevent future invasions. The goal is to address the problem safely and efficiently, reducing the likelihood of recurring issues and minimizing disruption to daily routines.

Ant problems can cause significant inconvenience and property damage, especially when colonies establish themselves indoors or near food sources. Ants can contaminate food supplies, create unsightly trails, and in some cases, cause structural damage by nesting within walls or under floors. Exterminating these pests helps restore a clean, safe environment and reduces the risk of larger infestations developing over time. Professional services are equipped to handle different ant species, including carpenter ants, fire ants, and odorous house ants, ensuring comprehensive solutions tailored to specific situations.

Properties that commonly utilize ants extermination services include single-family homes, apartment complexes, restaurants, and retail stores. Residential properties often seek treatment to protect food storage areas and prevent ant trails from spreading throughout living spaces. Commercial establishments, especially those involved in food service or hospitality, prioritize pest control to maintain hygiene standards and comply with health regulations. Additionally, property managers and business owners may contact local pest control providers to implement ongoing prevention measures and monitor for potential ant activity.

Engaging with a professional pest control service for ant extermination provides a proactive approach to managing infestations. Service providers typically assess the property’s unique conditions, identify entry points and nesting sites, and recommend appropriate treatment plans. Regular inspections and preventative treatments can help maintain a pest-free environment over time. Property owners and managers in areas like Aledo, TX, and nearby communities often rely on local pros to handle ant issues efficiently, ensuring that their spaces remain comfortable and pest-free.

The overview below groups typical Ants Extermination Service projects into broad ranges so you can see how smaller, mid-sized, and larger jobs often compare in Aledo, TX.

In many markets, a large share of routine jobs stays in the lower and middle ranges, while only a smaller percentage of projects moves into the highest bands when the work is more complex or site conditions are harder than average.

Per-Visit Cost - Ant extermination services typically range from $100 to $300 per visit, depending on the severity of the infestation and property size. For example, a small home in Aledo, TX might cost around $150 for a single treatment.

Initial Treatment Cost - The first treatment for ant control usually falls between $200 and $500, covering inspection and comprehensive treatment. Larger properties or severe infestations may push costs toward the higher end.

Ongoing Service Fees - Regular maintenance visits can cost between $50 and $150 per session, with some providers offering quarterly plans. These visits help prevent future ant problems and maintain control.

Barrier or Baiting Program Costs - Implementing baiting or barrier treatments generally costs from $150 to $400, depending on the extent of the application and property size in Aledo, TX. These programs aim to reduce ant populations over time.

Actual totals will depend on details like access to the work area, the scope of the project, and the materials selected, so use these as general starting points rather than exact figures.

Get an Ants Extermination Service Quote

Ants Extermination services involve professionals who specialize in identifying ant infestations and implementing targeted removal methods to eliminate colonies effectively.

Local ant extermination experts provide solutions for residential properties experiencing ant problems, ensuring the pests are managed safely and efficiently.

Commercial ant control services are available to help businesses maintain pest-free environments and prevent future ant invasions.

Professionals may employ a variety of treatment techniques, including baiting and residual insecticides, tailored to the specific ant species and infestation severity.

Ant eradication services often include inspection, treatment, and advice on preventing future ant issues around properties in Aledo, TX, and nearby areas.

Contacting local pest control providers ensures access to experienced professionals equipped to handle ant problems promptly and effectively.

Ants Extermination Service

When comparing ant extermination services, experience is a key factor to consider. Local pros often vary in their years of service and familiarity with specific pest issues common in areas like Aledo, TX. It can be helpful to review how long a provider has been operating in the community and whether they have handled ant infestations similar to the one at hand. This background can provide insight into their understanding of local ant species and effective treatment methods.

Clear communication and written expectations are essential when selecting a pest control provider. Reputable local pros typically outline the scope of work, treatment procedures, and any necessary follow-up in written form. This transparency helps ensure that homeowners understand what services will be performed and what to expect afterward. Open lines of communication also facilitate addressing questions or concerns throughout the process, contributing to a smoother experience.

References and reputation are valuable indicators of a local pest control professional’s reliability. Seeking out reputable references or reviews from past clients can offer insights into their service quality and professionalism. Many local providers have established reputations within their communities, which can be verified through word-of-mouth, online reviews, or recommendations. Effective communication and a solid reputation often go hand-in-hand, helping homeowners feel confident in their choice of a pest management partner.

Get an Ants Extermination Service Quote

Property owners in Aledo, TX use Ants Extermination Service services for practical projects around their homes and businesses. The sections below highlight everyday jobs and straightforward project options.

Ants Extermination Service
Ants Extermination Service

Ants extermination services are commonly sought after by property owners in Aledo, TX, who notice ant activity around their homes or businesses. Common situations include encountering trails of ants in kitchens, bathrooms, or outdoor areas, which can indicate a growing infestation. Property owners may seek professional assistance to eliminate these pests and prevent potential damage or contamination of food and surfaces.

Additionally, many in the Aledo area turn to local pest control providers when ant problems persist despite initial DIY efforts. Reasons for this include the difficulty of eradicating ants from hard-to-reach places or when multiple ant colonies are involved. Professional extermination services can help address these issues effectively and reduce the likelihood of future invasions.

Get an Ants Extermination Service Quote

How do ant extermination services work? Ant extermination services typically involve inspecting the property, identifying ant species and entry points, and applying targeted treatments to eliminate colonies and prevent future infestations.

Are ant extermination treatments safe for pets and children? Most professional ant treatments are designed to be safe when applied by experienced technicians, but it is recommended to follow any specific safety instructions provided by the service provider.

How long does an ant extermination treatment usually last? The duration of effectiveness can vary depending on the treatment method and the severity of the infestation, but many services offer ongoing prevention options to maintain control.

Can ant extermination services prevent future ant problems? Yes, many services include preventative measures and advice to help reduce the likelihood of ants returning to the treated area.

How should I prepare for an ant extermination treatment? Preparation may include cleaning the area, removing food and water sources, and following any specific instructions provided by the service provider to ensure the treatment’s effectiveness.

Ants Identification and Inspection - Local pest control providers can assess the extent of ant infestations and identify the species involved to determine the most effective treatment options.

Targeted Ant Extermination Treatments - Professionals offer various treatment methods, including baits and sprays, to eliminate ants at their source and prevent future invasions.

Preventive Ant Control Strategies - Service providers can implement barriers and sanitation recommendations to reduce attractants and discourage ant activity around properties.

Ongoing Monitoring and Maintenance - Regular inspections and follow-up treatments help ensure ants do not return and keep the area pest-free over time.

Ants Extermination Service

Considering Ants Extermination Service for a property in Aledo, TX? The sections above highlight common project types, practical options, and details that often shape the scope of work.

When you are ready, use the quote form to share a few details about your project. Local pros can review the basics and respond with options that match what you have in mind.

Get an Ants Extermination Service Quote

Ants Extermination Quotes

Our Trusted Partners
Cantu Pest Control
Orkin
Hawx Pest Control